
Mai 2025
Quelle joie de revenir sur cette île déserte, hors les pêcheurs et coast guard.
Nous y arrivons après une belle navigation tranquille de 51h00 pour 306 mn franchis. Les dauphins nous y accueillent. Cela faisait bien longtemps.



Installation au mouillage de la Muerte juste avant la nuit. Nous retrouvons nos marques.

Le jour suivant, un voilier passe derrière nous. Il s’agit d’un 49 pieds venezuelien skippé par Alberto, avec Henriette et 3 autres marins. Henriette parle français. Un vrai bonheur. Ils ne sont que de passage et descendent juste à terre voir les pêcheurs.


Nous les informons de notre souhait de leur installer des panneaux solaires, donc de l’électricité. La joie pour eux ! Jean-Benoit se joint à eux pour être présenté aux pêcheurs. Et le panneau solaire emporté par l’un d’eux.

L’équipage ne passe que 5 minutes sur Maverick devant rejoindre dans la journée l’île de Tortuga.


Envie de vacances au Venezuela : Henriette reçoit sur deux sites. Je suis persuadée que l’accueil y est merveilleux et Henriette une hôtesse exceptionnelle !
- A Margarita : Rancho Rebecca, à Margarita – un havre de paix à deux minutes de la plage Guacuco : https://www.booking.com/Pulse-qeDggF
- A Caracas : Appartement à Caracas (style art déco, très lumineux, à deux pas du parc El Ávila) : https://www.booking.com/Pulse-SbjnVa
Alberto et Henriette connaissent bien Jonathan, le chef coast guard que nous avons déjà vu à 2 reprises. Trop chouette. Il est prévenu de notre arrivée et viendra nous voir le jour suivant.
La rencontre est très sympathique, les retrouvailles touchantes. Il s’agit de la même équipe que la dernière fois. Échange de cadeaux, café, gâteaux et discussion via le traducteur. Et oui nous ne parlons pas espagnol, à notre immense regret. L’échange est compliqué mais la joie et les sourires présents.




Rendez-vous est pris pour visiter leur camp lorsque nous partirons.
Au cours des 15 jours suivants nous ne verrons aucune voiles, quelques pêcheurs et encore pas tous les jours. Apparemment la période n’est pas propice à la pêche. Mais, même avec peu de poissons, ils passent nous voir, nous offrir les poissons pêchés tels que thon rouge et surtout barracudas. Nous leur offrons, eau, café, et bien évidemment le wifi afin qu’ils appellent leur famille. Que du bonheur de les voir s’esclaffer avec leur femme et enfants.
Et grâce à Christine et à ses collègues de la croix rouge de Saint Barthélémy, nous leur donnons, des habits, des jouets, et des masques et palmes de la part du magasin « Nitrogen » de Pointe à Pitre. Mille mercis à eux. Vous leur avez donné, vous aussi, du bonheur !






Nous explorons les fonds, le capitaine chasse et assure les repas!







Nous nous déplaçons de mouillage en mouillage.
Quelques jours sur le mouillage de las América, toujours aussi merveilleux ! Nous ne nous en lassons pas et passons et repassons sous l’arche en nageant.








C’est aussi beau au-dessus, qu’au-dessous…



Nous terminons notre séjour par une semaine sur le mouillage de la Playa de Palmeiras.


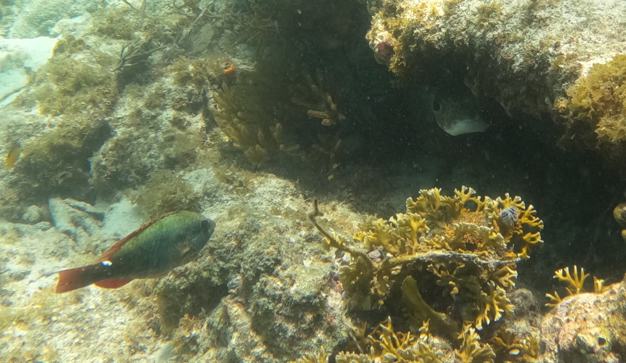
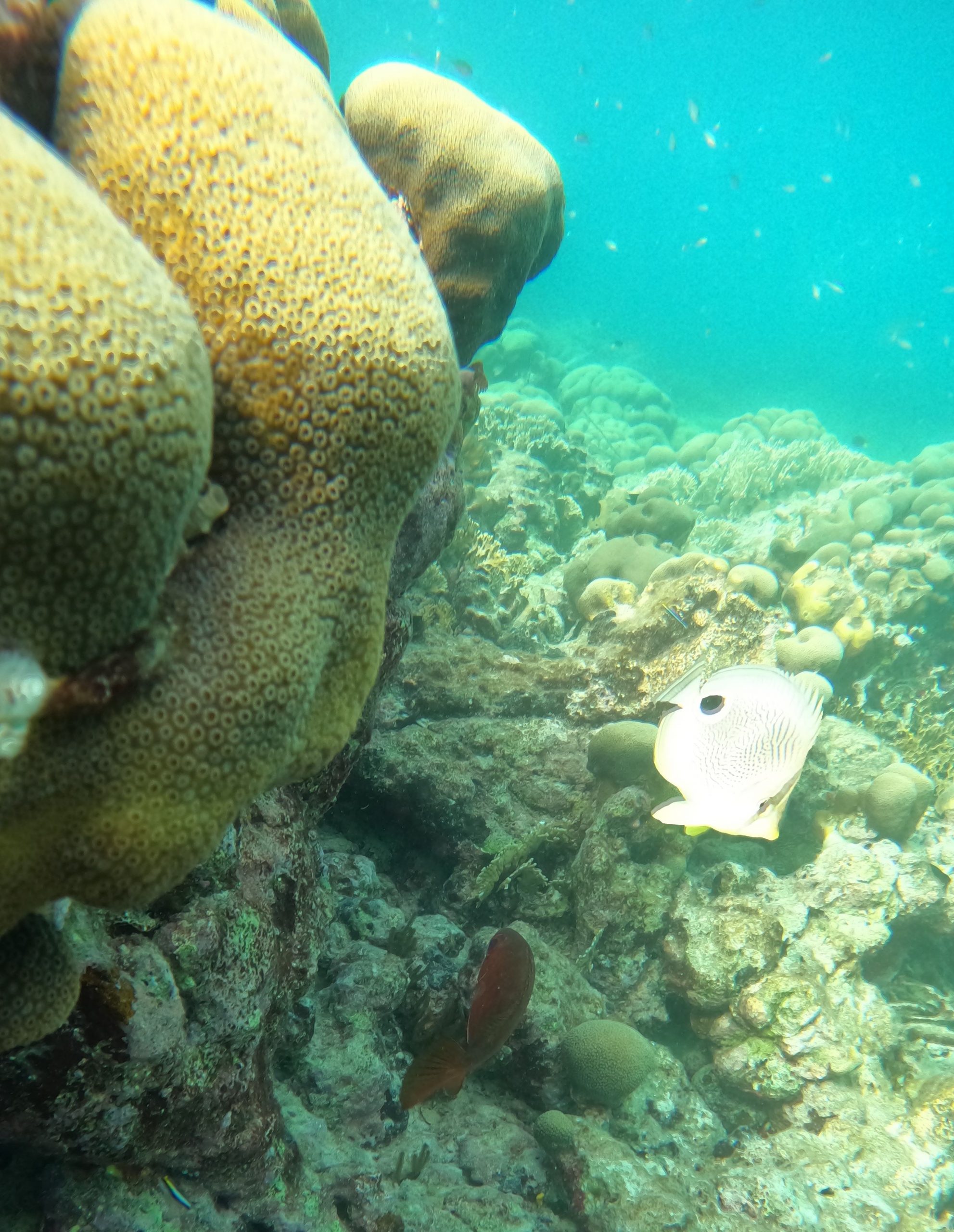
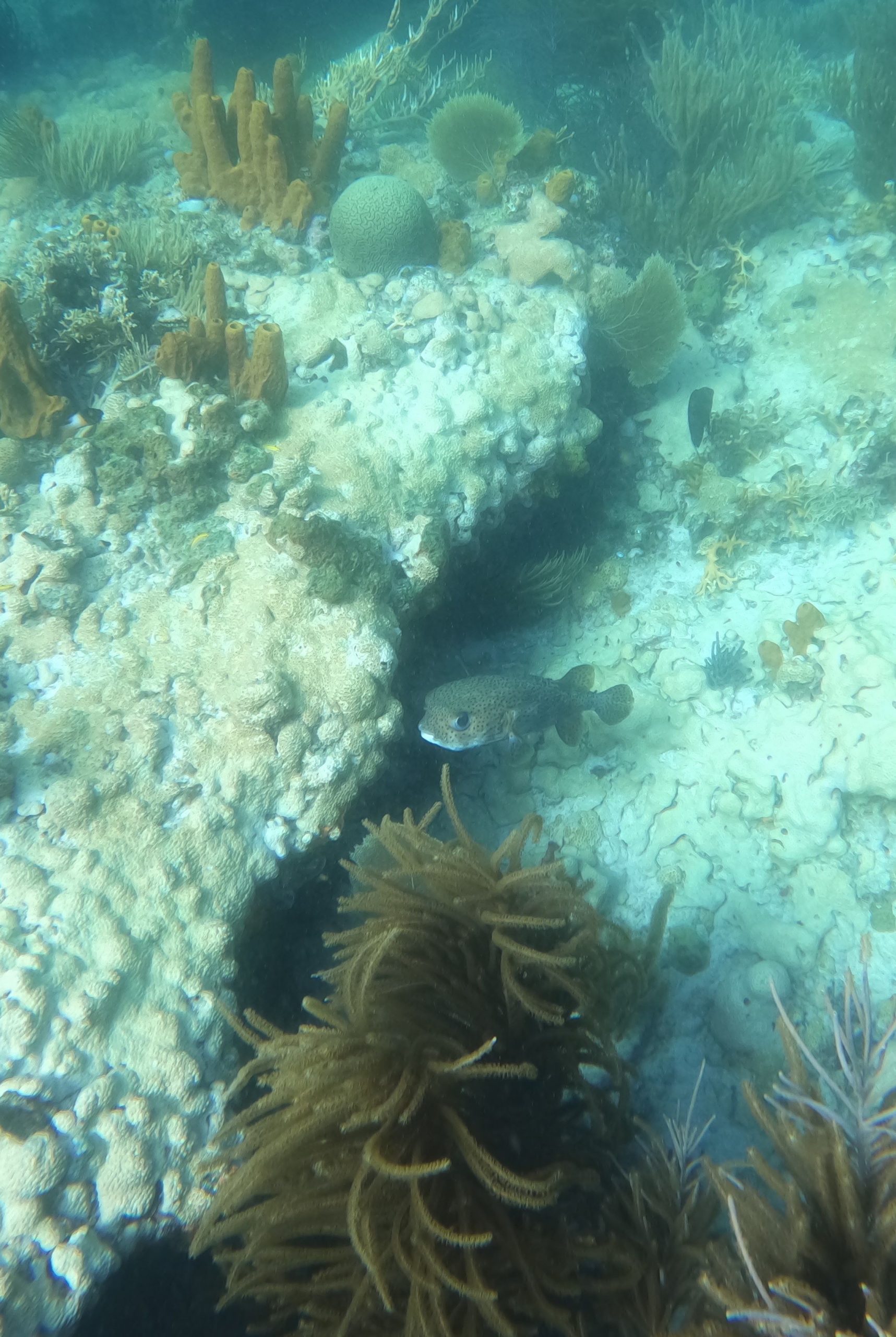
Les fonds sont splendides et je m’essaie à la gopro. J’adore surprendre anges royaux, raies, et toute sortes de poissons. Grandiose !
Sur ce dernier mouillage, nous pouvons descendre à terre pour nous dégourdir les jambes, puisqu’il y a la lagune découverte l’an dernier avec Nathalie et Thierry de Ornella. A ce jour elle est pratiquement asséchée.


Jonathan nous dira qu’il n’a pas plu depuis février. Ici aucune source d’eau. Celle ci est acheminée par bateau du continent. Une denrée rare et très précieuse. Les pêcheurs en raffolent. Le sel est quant à lui récupéré et mis en tas. Pour les pêcheurs ? Pour les ânes ?

Mais il nous faut partir. Comme promis, nous nous rendons au mouillage au sud de l’île pour retrouver et visiter le camp des coast guard. Bien évidemment, aucune photo de l’intérieur du campement mais quel bonheur d’être reçu par Jonathan. Un café nous est servi au bout de la « terre » face à Maverick. Le camp est merveilleusement tenu même s’ils manquent de tout. Nous visitons également la piste aéronautique qui n’a jamais été utilisée mais qui est entretenue par les gardes.
Un dernier adieu à nos amis et dernière soirée sur les eaux de Blanquilla. Les pêcheurs sur place viennent s’approvisionner une dernière fois en eau…



Le coucher de soleil est splendide.



Et la lune et son halo étonnant !

Départ le jour suivant pour Curaçao, pour retrouver Emma. Mais vous le savez déjà, puisque l’article est déjà en ligne.
Le prochain sera consacré à la Colombie, notre dernier et immense coup de cœur avant l’été.
Et à l’automne, nous vous retrouverons sur un nouveau concept, puisque ce blog ne sera plus alimenté. Polar Step le remplacera et vous permettra de nous suivre au jour le jour.
Promis, nous vous en dirons plus en septembre !














